مطار دالاس/فورت ورث الدولي
مطار دالاس/فورت ورث الدولي Dallas/Fort Worth International Airport | |||||||||||||||||||||||||||||||||||
|---|---|---|---|---|---|---|---|---|---|---|---|---|---|---|---|---|---|---|---|---|---|---|---|---|---|---|---|---|---|---|---|---|---|---|---|
| الملخص | |||||||||||||||||||||||||||||||||||
| نوع المطار | عمومي | ||||||||||||||||||||||||||||||||||
| المالك | مدينة دالاس مدينة فورت ورث | ||||||||||||||||||||||||||||||||||
| المشغل | DFW Airport Board | ||||||||||||||||||||||||||||||||||
| يخدم | دالاس–فورت ورث–أرلنگتون | ||||||||||||||||||||||||||||||||||
| الموقع | كوپل، يولس، گريپڤاين وإرڤنگ | ||||||||||||||||||||||||||||||||||
| محور لـ | |||||||||||||||||||||||||||||||||||
| المنسوب AMSL | 607 ft / 185 m | ||||||||||||||||||||||||||||||||||
| الإحداثيات | 32°53′49″N 097°02′17″W / 32.89694°N 97.03806°W | ||||||||||||||||||||||||||||||||||
| Website | www.dfwairport.com | ||||||||||||||||||||||||||||||||||
| Runways | |||||||||||||||||||||||||||||||||||
| |||||||||||||||||||||||||||||||||||
| Helipads | |||||||||||||||||||||||||||||||||||
| |||||||||||||||||||||||||||||||||||
| Statistics (2009) | |||||||||||||||||||||||||||||||||||
| |||||||||||||||||||||||||||||||||||
مطار دالاس/فورت ورث الدولي [Dallas-Fort Worth International Airport] Error: {{Lang-xx}}: text has italic markup (help) (إياتا: DFW، إيكاو: KDFW) هو مطار دولي يقع بين مدينتي دالاس وفورت وورث ويعتبر الأكثر نشاطاً في ولاية تكساس الأمريكية ويحتل المرتبة الثالثة عالميا في مجال حركة الطائرات بما يقارب 700,000 رحلة جوية سنويا بالإضافة لأنه يحتل المرتبة السابعة عالميا من ناحية عدد الركاب المسافرين بما يقارب ستين مليون راكب سنويا[2]، وصنف عام 2006 كأفضل مطار للتعامل مع الشحن الجوي[3]. يسير المطار رحلات حوية إلى 128 وجهة داخل الولايات المتحدة بالإضافة إلى 36 وجهة دولية. ويعتبر المطار قاعدة العمليات الرئيسية والأكبر لخطوط أميريكان أيرلاينز الجوية وتستحوذ على ما نسبته 85% من الحركة الجوية بالمطار، ويعتبر المطار أيضا قاعدة العمليات الأكبر لخطوط طيران أمريكان إيگل. يقع المطار في حدود ضواحي ثلاث مدن أمريكية وهي حالة فريدة من نوعها أدت إلى صراعات قانونية حول التبعية والمسؤولية القانونية للمطار، مما دفع بعض الوكالات الحكومية الأمريكية لمعاملة المطار كما لو أنها مدينة مستقلة[4].
تاريخ
قبل عام 1927 تقدمت مدينة دالاس بعرض لإنشاء مطار مشترك مع مدينة فورت ورث المجاورة، خلال تلك الفترة قوبل العرض بالرفض من قبل فورت ورث. وعوضاً عن ذلك قامت كل مدينة بإنشاء حقول جوية مستقلة. في عام 1940 خصصت إدارة الطيران المدني مبلغ 1,9 مليون دولار لإنشاء مطار مشترك بين المدينتين وذلك بدعم من قبل عدد من شركات وخطوط الطيران وبالاتفاق مع مدينة ارلنجتون المجاورة، قوبل هذا العرض بالرفض المطلق من قبل مدينة دالاس ومدينة فورت ورث وألغي بذلك المشروع.
عانى مطار فورت ورث من مصاعب في استقطاب الحركة الجوية من مطار دالاس المزدهر والذي لم يكن يبعد فعليا عنه سوى 12 ميل مما تسبب في إغلاق المطار، وأمام الحركة الجوية الكبيرة والمتصاعدة على مطار دالاس عانى المطار هو الآخر أمام عدم إمكانية التوسع أكثر في إنشاءات المطار، ومع ضغط وكالة الطيران الفدرالية إتفق المسؤولين في المدينتين على إنشاء مطار مشترك بين المدينتين وافتتح رسميا في عام 1973 كمطار إقليمي. في عام 1984 قررت شركة خطوط أمريكان أيرلاينز نقل مركز رحلاتها الرئيسي من نيويورك إلى مدينة فورت ورث والبدء في تسيير رحلات جوية دولية من المطار إلى كل من لندن وطوكيو. في عام 1989 أعلنت سلطة المطار عن خطة لإنشاء مدرجي طيران جديدين للمطار، خاض بسببها المطار معركة قضائية بسبب ما اعتبر في ذلك الوقت تأثيرات محتملة على البيئة. إلا أنه في النهاية تم رد الدعوى لصالح المطار بقرار من المحكمة العليا الأمريكية.
في عام 1996 تم افتتاح مدرج الطيران السابع بالإضافة إلى تعديل اربعة مدارج طيران ليصبح طولها 4084 متر دشن آخرها في عام 2005 مع إفتتاح مبنى الركاب الجديد للرحلات الدولية وبالإضافة إلى تدشين نظام نقل الركاب الجديد عبر مركبات القطارات الكهربائية للتنقل بين منشآت وصالات الركاب A,B,C,E وصالة الركاب الدولية D.
| مطار دالاس/فورت ورث الدولي Dallas-Fort Worth International Airport | |||
|---|---|---|---|
| إياتا: DFW – ايكاو: KDFW | |||
| موجز | |||
| نوع المطار | عام | ||
| المشغل | مجلس مطار دالاس فورت ورث | ||
| يخدم | دالاس وفورت وورث- | ||
| الموقع | دالاس وفورت وورث,تكساس | ||
| الارتفاع م س ب | 185 م / 607 قدم | ||
| إحداثيات | °32 53' 49" شمالا 097° 02' 17" غربا | ||
| الموقع الإلكترونى | |||
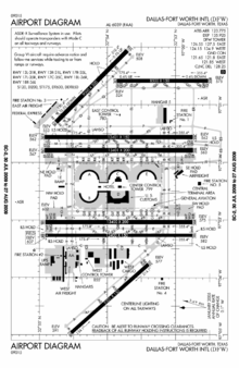
| مدارج | |||
| الاتجاه | الطول | نوع السطح | |
| م | قدم | ||
| 13L/31R | 2,743 | 9,000 | خرسانة |
| 13R/31L | 2,835 | 9,301 | خرسانة |
| 17C/35C | 4,085 | 13,401 | خرسانة |
| 17L/35R | 2,591 | 8,500 | خرسانة |
| 17R/35L | 4,085 | 13,401 | خرسانة |
| 18L/36R | 4,085 | 13,401 | خرسانة |
| 18R/36L | 4,085 | 13,401 | خرسانة |
| مهابط مروحيات | |||
| الرقم | الطول | نوع السطح | |
| م | قدم | ||
| H1 | 48 | 158 | خرسانة |
انظر أيضاً
وصلات خارجية
- Dallas-Fort Worth International Airport، الموقع الرسمي
- جولة في برج المراقبة
- موقع برج مطار دالاس/فورت ورث
- بيانات وننظيمات مطار دالاس
المصادر
- ^ __ ACI passenger statistics for 2007
- ^ __ ACI passenger statistics for 2007
- ^ Air Cargo Excellence Survey. Retrieved 18 September
- ^ Contact Us," Dallas-Fort Worth International Airport
